Survey Plan Details
Details
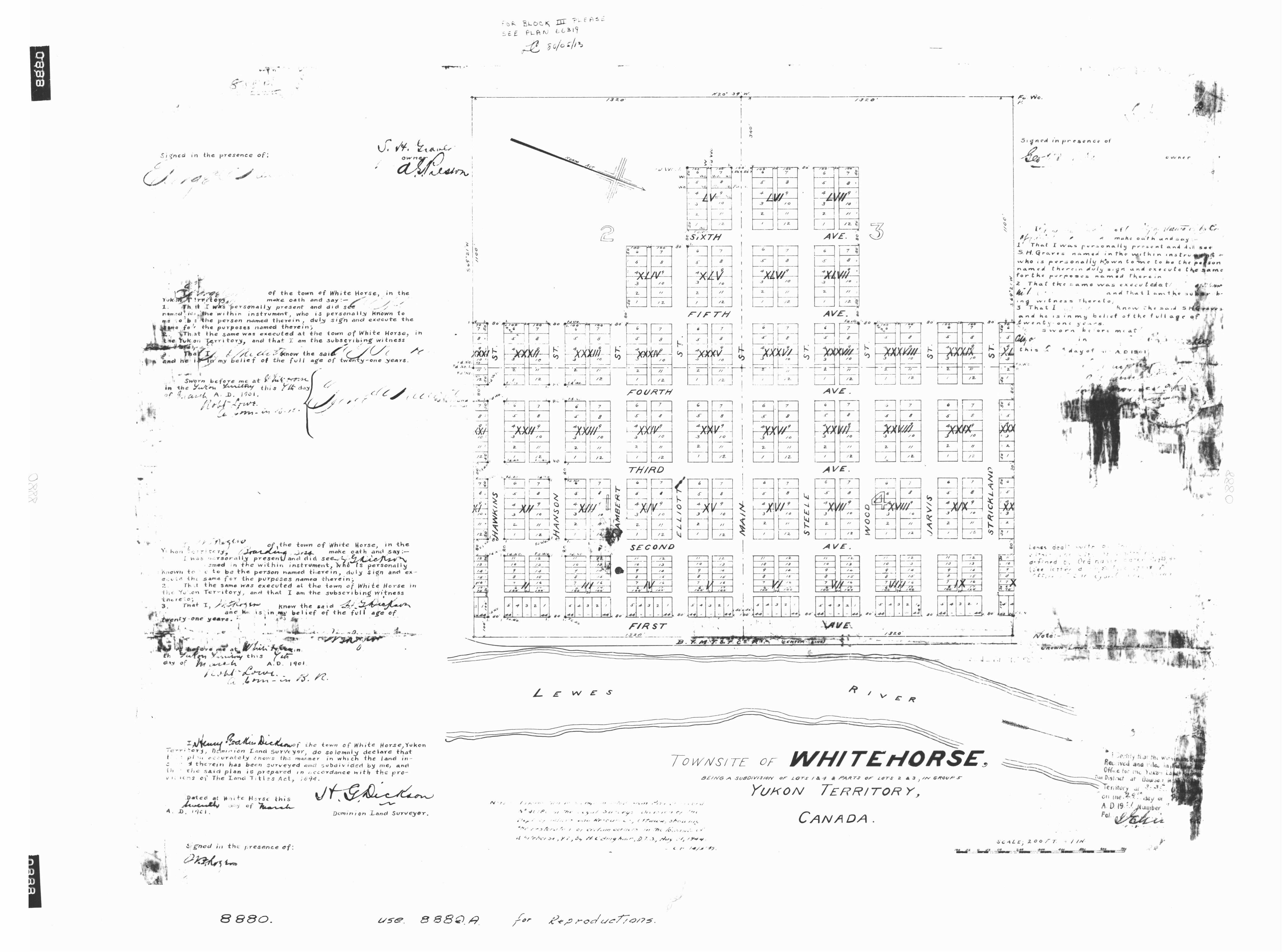
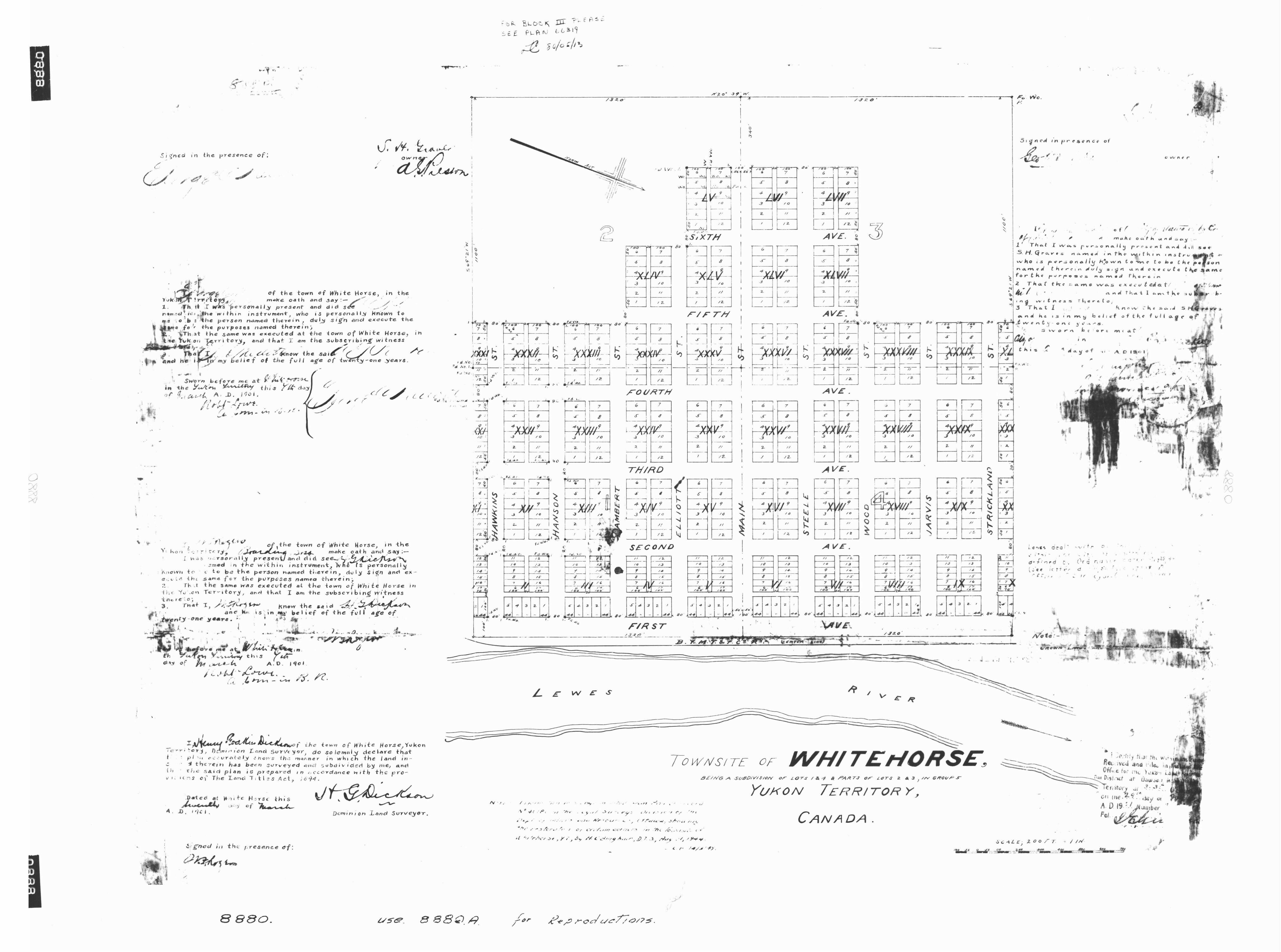
| Plan Number | 8880 CLSR YT |
|---|---|
| Title | TOWNSITE OF WHITEHORSE BEING A SUBDIVISION OF LOTS 1 & 4 AND PARTS OF LOTS 2 & 3 IN GROUP 5 (eng; CAN) |
| Description | |
| Surveyor | DICKSON, H.G. () |
| Canada Land(s) |
QUAD 105D/11 (105D/11) WHITEHORSE (68042) |
| First Nation | |
| Date Surveyed | 1901-01-01 |
| Date Recorded | 2003-01-24 |
| Project Number |
Related Documents
| Document Type | Related Number | Remarks |
|---|---|---|
| ALTERNATE NUMBER | 3807 LTO YT | |
| ASSOCIATED NUMBER | 100313 CLSR YT | |
| ASSOCIATED NUMBER | 111359 CLSR YT | |
| ASSOCIATED NUMBER | 113426 CLSR YT | |
| ASSOCIATED NUMBER | 113465 CLSR YT | |
| ASSOCIATED NUMBER | 113566 CLSR YT | |
| ASSOCIATED NUMBER | 113692 CLSR YT | |
| ASSOCIATED NUMBER | 113702 CLSR YT | |
| ASSOCIATED NUMBER | 114064 CLSR YT | |
| ASSOCIATED NUMBER | 114163 CLSR YT | |
| ASSOCIATED NUMBER | 114291 CLSR YT | FN REPOSTING SURVEY OF LOT 2, BLOCK 28, 8880 CLSR |
| ASSOCIATED NUMBER | 40186 CLSR YT | |
| ASSOCIATED NUMBER | 43201 CLSR YT | |
| ASSOCIATED NUMBER | 51799 CLSR YT | |
| ASSOCIATED NUMBER | 51800 CLSR YT | |
| ASSOCIATED NUMBER | 51801 CLSR YT | |
| ASSOCIATED NUMBER | 55677 CLSR YT | |
| ASSOCIATED NUMBER | 63821 CLSR YT | |
| ASSOCIATED NUMBER | 63822 CLSR YT | |
| ASSOCIATED NUMBER | 68957 CLSR YT | |
| ASSOCIATED NUMBER | 72183 CLSR YT | |
| ASSOCIATED NUMBER | 8406 CLSR YT | |
| ASSOCIATED NUMBER | 8880A CLSR YT | CERT. TRUE COPY |
| ASSOCIATED NUMBER | 89388 CLSR YT | |
| ASSOCIATED NUMBER | 89660 CLSR YT | |
| ASSOCIATED NUMBER | 89844 CLSR YT | |
| ASSOCIATED NUMBER | 89866 CLSR YT | |
| ASSOCIATED NUMBER | 91230 CLSR YT | |
| ASSOCIATED NUMBER | 91378 CLSR YT | |
| ASSOCIATED NUMBER | 94090 CLSR YT | |
| ASSOCIATED NUMBER | 95145 CLSR YT | |
| ASSOCIATED NUMBER | 95581 CLSR YT | |
| ASSOCIATED NUMBER | 96879 CLSR YT | |
| ASSOCIATED NUMBER | 97638 CLSR YT | |
| ASSOCIATED NUMBER | 97953 CLSR YT |
Plan Images and/or Fieldbooks
| File Name | File Size | Last Modified Date | File Format |
|---|---|---|---|
| 8880-2.tif | 76.87 KB | 2005-06-24 | TIF |
| 8880.jpg | 214.88 KB | 2005-06-24 | JPG |
| 8880.djvu | 297.26 KB | 2005-06-24 | DJV |
| 8880-clsr.jpg | 1.15 MB | 2005-06-24 | JPG |
| 8880CLSRYT.PDF | 11.47 MB | 2016-12-09 |
This record is licensed under the Open Government Licence - Canada.